🥔ジャガイモの収穫のタイミング
目次
① 一番わかりやすいサインは「葉っぱ」
✅ 葉が黄色くなり、倒れてきたらOK!
- 青々している → まだ太っている途中
- 少し枯れかかってもOK!病気や害虫の被害が出ないタイミングに収穫したい方オススメ★
- 半分以上が黄色 → 収穫ベストタイミング
- ほぼ枯れた → 収穫タイミングのカウントダウンが開始!この状態からは2週間以内には収穫しましょう!
※タイミングを逃すとジャガイモが腐れたり、虫に食べられたりする可能性が高まります。タイミングを逃しても全体の半分でも収穫できたら良しとして掘るのがオススメです!
👉 地上部が終わる=地下のイモが完成
👉 大きくさせようと収穫を先延ばしにすることはNG!葉が枯れ始めてからはそこまで大きくはなりません!

この程度でも収穫OK★

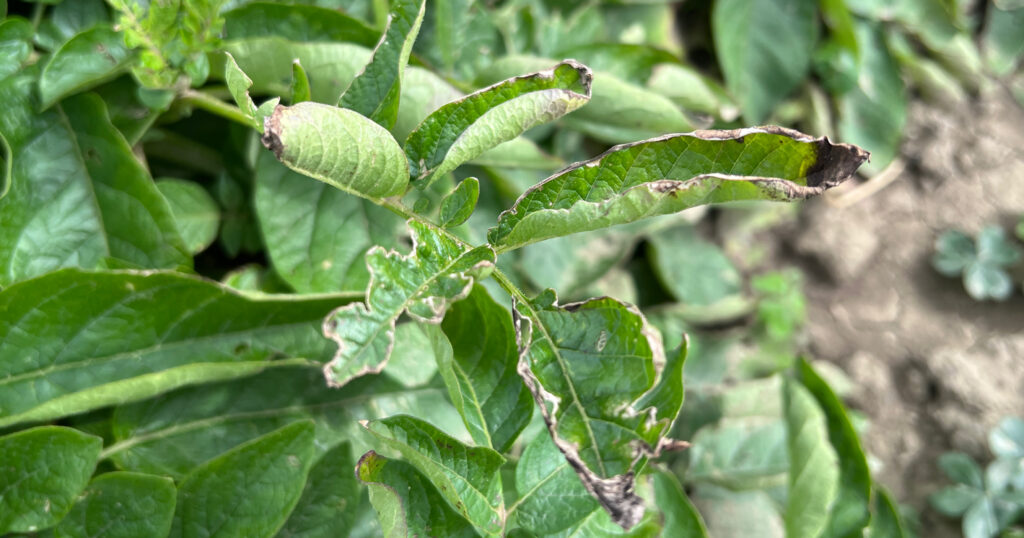
収穫のサイン!葉の周りが枯れ始めています!

収穫OK!

この状態からは早めに収穫しましょう!
※約2週間いないを目標に
② 花は目安になる
花が咲いてもすぐ収穫ではありません。
- 花が咲く → イモができ始めた合図
- 花が終わる → 太らせ期間
- 葉が枯れる → 完成
※花が咲かない品種もあります。
③ 収穫前にやると良いこと
🔹 試し掘り(1株だけ掘る)
- ピンポン玉サイズ → 早い※品種によっては小さいものもありますので、葉の状態を第一優先に判断しましょう!
- 握りこぶしサイズ → OK
- 皮が指でこすって剥けない → 完熟
④ 収穫タイミングの目安(沖縄基準)
沖縄では
11〜1月植え → 3〜4月収穫が多いです。
※私のアドバイスとしては3月中に収穫するのをオススメしています!4月になると予期せぬ雨で収穫のタイミングを逃す可能性があるからです!
⑤ 収穫日の天気も大事!
☀️ 晴れの日に掘る
❌ 雨の日はNG(腐りやすい)
❌掘ったジャガイモを水洗いすることもNGです!
掘ったら半日〜1日陰干し(キュアリング)すると保存性UP。
👉1週間は風通しが良く日差しが当たらないところで保存すると養分がデンプンに変わり美味しくなるといわれています!

